当日処置可能
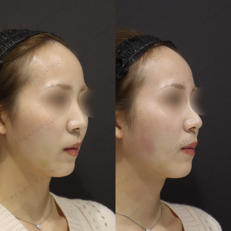
新宿で頬ヒアルロン酸が上手いクリニック|ダイヤモンドフィール/ピネハで自然なリフトアップ(20代女性)
- 年代:20代
- 性別:女性
ジュビダームボルベラ/
ボリフト/
ボリューマ1ヶ所 通常価格¥90,200/
ボライト1ヶ所¥66,000/
ボラックス1ヶ所¥96,800/
レナトゥスヒアルロン酸1ヶ所¥90,200/
韓国製1ヶ所¥22,000
製剤料
¥11,000〜48,400
※モニター韓国製部位限定初回¥11,000 / ボライト¥33,000 / ボラックス¥48,400 / その他ジュビダーム等¥45,100 / ブロック麻酔¥4,400 / マイクロカニューレ¥4,400 /
▼詳細は必ずクリニックに直接確認してください▼
担当医師メッセージDOCTOR MESSAGE
今回はダイヤモンドフィール(Diamond Feel)とピネハ(Pineha)を組み合わせて使用しました。ダイヤモンドフィールは柔らかくなじみやすい特性を持つため、頬の高さ出しと輪郭の自然な丸みを同時に演出するのに適した製剤です。ピネハは適度な硬さがあり、リフトアップ効果の持続にも優れているため、両剤の特性を活かした多層注入によって、20代女性らしいふっくらとしたナチュラルな仕上がりを実現しています。
頬ヒアルロン酸注入がおすすめな方CHEEK FILLER RECOMMEND
以下のようなお悩みを持つ方におすすめです。目的に合わせて頬を改善することができます。
頬ヒアルロン酸とはCHEEK FILLER
ヒアルロン酸を頬に注入し、ボリュームを与える施術です。頬ヒアルロン酸の詳細は以下の通りです。
- 製剤種類 ボリフト
- 目安cc数 1~2cc
- ダウンタイム ほぼなし〜2週間
- 所要時間 5分~30分
- メイク 施術直後より可能
- 価格 製剤料1ヶ所45,100円ブロック麻酔¥4,400マイクロカニューレ¥4,400
ヒアルロン酸注入は公的医療保険が適用されない自由診療です。

新宿でレナトゥスクリニックが選ばれる理由WHY CHOOSE US
①施術料・初診料すべて0円
製剤料のみのシンプルな料金体系。隠れた費用は一切ありません。
②厚生労働省認可製剤のみ使用
安全性と品質が国際的に認められたジュビダームシリーズを中心に取り扱っています。
③症例写真で技術が見える
担当医師の実際の症例写真を公開。施術前に仕上がりのイメージを確認できます。
④50%OFFモニター制度で高品質な施術をお得に
写真掲載にご協力いただける方限定で、通常価格の半額で施術を受けていただけます。

頬ヒアルロン酸が上手い・下手の違いはどこで判断する?SKILL DIFFERENCE
製剤選びと注入層のコントロール
頬ヒアルロン酸の仕上がりを左右する最大のポイントは、製剤の特性を熟知した上での「注入層のコントロール」です。ダイヤモンドフィールのような柔軟性の高い製剤は骨膜上や脂肪層など複数の層に細かく注入することで自然なボリュームアップが可能となり、ピネハのような硬さのある製剤はリフトアップ効果の持続性を高める土台づくりに活躍します。製剤の特性を理解せずに一律で注入してしまうと、不自然な膨らみや左右非対称が生じるリスクがあります。上手な施術者は複数の製剤の長所を組み合わせ、患者様の骨格・脂肪分布・皮膚の厚みに応じた個別プランを設計します。
カウンセリングの質でわかるクリニックの実力
カウンセリングで「どの製剤をどの層に入れるか」「どのような仕上がりを目指すか」を具体的に説明できるかどうかが、クリニック選びの重要な判断基準です。レナトゥスクリニック新宿院では、担当医師が顔全体のバランスを丁寧に確認したうえで、使用製剤・注入量・注入部位をわかりやすくご説明します。「なんとなく丸くなった」ではなく、頬骨の高さや頬のたるみライン、ほうれい線への影響まで考慮した設計を行い、20代女性でも「やりすぎ感のない自然なリフトアップ」を実現できる体制を整えています。

新宿の頬ヒアルロン酸でよくある質問FAQ
施術・費用について
Q:ダイヤモンドフィールとピネハはどちらを選べばよいですか?目的によって違いますか?
A:ふっくらとした自然なボリューム感を重視する場合はダイヤモンドフィール、しっかりとしたリフトアップや持続性を重視する場合はピネハが適しています。お顔の状態や理想の仕上がりによって最適な製剤が異なるため、カウンセリングで担当医師にご相談ください。当院では両剤を組み合わせたプランもご提案可能です。
ダウンタイム・アフターケアについて
Q:頬ヒアルロン酸のダウンタイムはどのくらいですか?腫れや内出血は目立ちますか?
A:個人差はありますが、腫れは施術後1〜3日程度で落ち着くことが多く、内出血が出た場合も1〜2週間ほどで改善する方が大半です。当院では細い針やカニューレを使用し、内出血リスクを最小限に抑える注入技術を心がけています。施術後は強いマッサージや飲酒を控えていただくとダウンタイムの軽減につながります。
ヒアルロン酸AIであなたに合った施術を提案AI DIAGNOSIS
「どの施術が自分に合うか分からない」という方に向けて、レナトゥスクリニック統括院長が監修したヒアルロン酸診断AIをご用意しています。気になる部位や悩みを入力するだけで、あなたに最適な施術プランを提案します。無料でご利用いただけますので、ぜひお試しください。
おすすめ症例RECOMMEND CASE
ヒアルロン酸注射をお探しの方におすすめの症例をご紹介します。
カスタマイズヒアルロン酸
鼻ヒアルロン酸
額ヒアルロン酸
唇ヒアルロン酸
顎ヒアルロン酸
ほうれい線ヒアルロン酸
涙袋ヒアルロン酸
施術詳細DETAIL
| 施術名:ヒアルロン酸注入 | |
| 施術内容 | 使用薬剤 : ジュビダームシリーズもしくは韓国製 持続期間 : 数ヶ月 / 9ヶ月 / 12ヶ月 / 18ヶ月 / 18ヶ月以上 / 24ヶ月 ヒアルロン酸を気になる部位に注入し、隆起させることで、形を整えたりシワや凹みを改善する治療です。 額(おでこ) / こめかみ / 眉間 / 眉上 / 目の上 / 涙袋 / 眼窩縁(目の下) / ゴルゴライン / 鼻 / 鼻翼基部 / ほうれい線 / 頬 / 唇 / 口角 / 顎 / 首 / ヒアルロン酸リフトアップ / 手の甲 / 膝 / 胸 / 立ち耳 / 鎖骨 / その他部位の改善をすることができます。 |
| お問い合わせ先 | 公式ライン |
リスク・副作用RISKS/SIDE EFFECTS
眩暈 / 霧視 / 興奮 / 不安 / 眠気 / 悪性高熱 / 痙攣 / 振戦 / 意識障害 / ショック / 血管攣縮 / 失神 / 瘢痕 / 筋無力症 / 悪心/嘔吐/不快感 / 頭痛 / インフルエンザ様症状 / 呼吸困難 / 乾燥肌 / しわ/瘢痕の深化 / 自己免疫疾患による反応 / 掻痒 / 変色/着色 / 血管性浮腫 / 膿瘍 / 骨吸収 / 皮膚壊死・皮膚炎・静脈炎 / 脳卒中(脳虚血、脳出血、脳梗塞) / 失明(視力障害含む) / ヘルペス悪化 / 無感覚/感覚異常 / ケロイド/肥厚性瘢痕 / しこり/硬結(小結節、数珠状小隆起、肉芽腫) / チンダル現象 / 左右非対称 / ヒアルロン酸の移動 / 修正位置のずれ / 修正不足/減少 / 血流障害 / 炎症反応 / アレルギー / 感染 / 腫脹/浮腫 / 発赤/発疹 / 疼痛 / 内出血
通常価格についてABOUT NORMAL PRICE
ヒアルロン酸注入は公的医療保険が適用されない自由診療です。
サイトの表示価格は、登録クリニックがHYHYで施術を紹介するために設定した通常必要とされる製剤費用(税込)で表示しております。
通常必要とされる価格=製剤料(cc数やヶ所数で変化)+施術料+初診料(再診料)+麻酔料+針代の計算式で算出してください。
※クリニックによっては、消費税の計算上、表示価格に記載されている価格に1円の差異が生じる場合がございます。
※HYHYで選択項目のない料金が発生する可能性があります。必ず事前にクリニックにご確認ください。
-

-
レナトゥスクリニック副田 周先生
SNS:X(旧twitter)、Instagram、Tiktok、Youtube、Facebook、Pinterest、Linkedin