当日処置可能
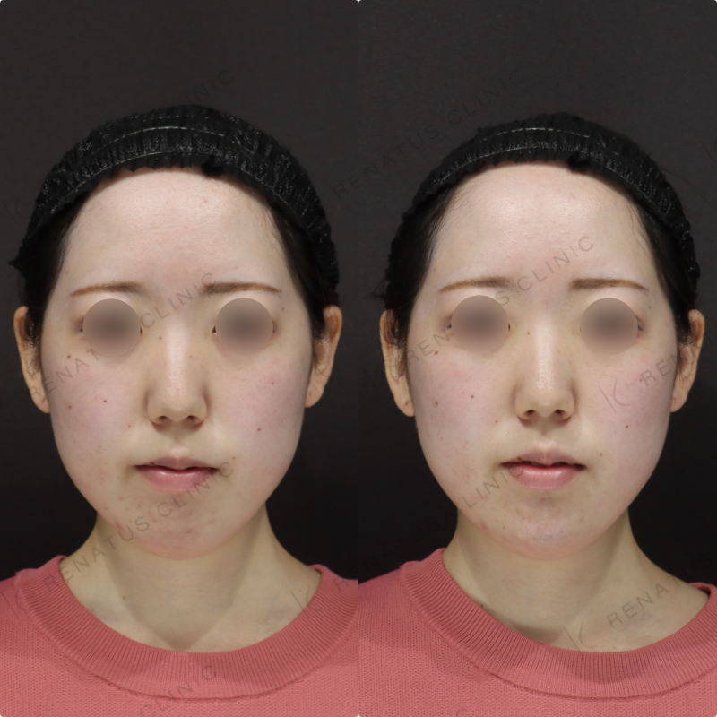
お試しヒアルロン酸顎1cc症例写真
- 年代:20代
- 性別:女性
ジュビダームボルベラ/
ボリフト/
ボリューマ1ヶ所 通常価格¥90,200/
ボライト1ヶ所¥66,000/
ボラックス1ヶ所¥96,800/
レナトゥスヒアルロン酸1ヶ所¥90,200/
韓国製1ヶ所¥22,000
製剤料
¥11,000〜48,400
※モニター韓国製部位限定初回¥11,000 / ボライト¥33,000 / ボラックス¥48,400 / その他ジュビダーム等¥45,100 / ブロック麻酔¥4,400 / マイクロカニューレ¥4,400 /
▼詳細は必ずクリニックに直接確認してください▼
担当医師メッセージDOCTOR MESSAGE
お試しヒアルロン酸1ccでの症例。
今後追加注入を行うことでさらに綺麗な輪郭を形成することができると見込まれます。
顎ヒアルロン酸注入がおすすめな方CHIN FILLER RECOMMEND
以下のようなお悩みを持つ方におすすめです。目的に合わせて顎を改善することができます。
顎ヒアルロン酸とはCHIN FILLER
ヒアルロン酸を顎に注入し、形を整える施術です。顎ヒアルロン酸の詳細は以下の通りです。
- 製剤種類 ボラックス
- 目安cc数 1~2cc
- ダウンタイム ほぼなし〜2週間
- 所要時間 5分~30分
- メイク 施術直後より可能
- 価格 製剤料1ヶ所48,400円ブロック麻酔¥4,400マイクロカニューレ¥4,400
ヒアルロン酸注入は公的医療保険が適用されない自由診療です。
おすすめ症例RECOMMEND CASE
ヒアルロン酸注射をお探しの方におすすめの症例をご紹介します。
カスタマイズヒアルロン酸
鼻ヒアルロン酸
額ヒアルロン酸
唇ヒアルロン酸
顎ヒアルロン酸
ほうれい線ヒアルロン酸
涙袋ヒアルロン酸
施術詳細DETAIL
| 施術名:ヒアルロン酸注入 | |
| 施術内容 | 使用薬剤 : ジュビダームシリーズもしくは韓国製 持続期間 : 数ヶ月 / 9ヶ月 / 12ヶ月 / 18ヶ月 / 18ヶ月以上 / 24ヶ月 ヒアルロン酸を気になる部位に注入し、隆起させることで、形を整えたりシワや凹みを改善する治療です。 額(おでこ) / こめかみ / 眉間 / 眉上 / 目の上 / 涙袋 / 眼窩縁(目の下) / ゴルゴライン / 鼻 / 鼻翼基部 / ほうれい線 / 頬 / 唇 / 口角 / 顎 / 首 / ヒアルロン酸リフトアップ / 手の甲 / 膝 / 胸 / 立ち耳 / 鎖骨 / その他部位の改善をすることができます。 |
| お問い合わせ先 | 公式ライン |
リスク・副作用RISKS/SIDE EFFECTS
眩暈 / 霧視 / 興奮 / 不安 / 眠気 / 悪性高熱 / 痙攣 / 振戦 / 意識障害 / ショック / 血管攣縮 / 失神 / 瘢痕 / 筋無力症 / 悪心/嘔吐/不快感 / 頭痛 / インフルエンザ様症状 / 呼吸困難 / 乾燥肌 / しわ/瘢痕の深化 / 自己免疫疾患による反応 / 掻痒 / 変色/着色 / 血管性浮腫 / 膿瘍 / 骨吸収 / 皮膚壊死・皮膚炎・静脈炎 / 脳卒中(脳虚血、脳出血、脳梗塞) / 失明(視力障害含む) / ヘルペス悪化 / 無感覚/感覚異常 / ケロイド/肥厚性瘢痕 / しこり/硬結(小結節、数珠状小隆起、肉芽腫) / チンダル現象 / 左右非対称 / ヒアルロン酸の移動 / 修正位置のずれ / 修正不足/減少 / 血流障害 / 炎症反応 / アレルギー / 感染 / 腫脹/浮腫 / 発赤/発疹 / 疼痛 / 内出血
通常価格についてABOUT NORMAL PRICE
ヒアルロン酸注入は公的医療保険が適用されない自由診療です。
サイトの表示価格は、登録クリニックがHYHYで施術を紹介するために設定した通常必要とされる製剤費用(税込)で表示しております。
通常必要とされる価格=製剤料(cc数やヶ所数で変化)+施術料+初診料(再診料)+麻酔料+針代の計算式で算出してください。
※クリニックによっては、消費税の計算上、表示価格に記載されている価格に1円の差異が生じる場合がございます。
※HYHYで選択項目のない料金が発生する可能性があります。必ず事前にクリニックにご確認ください。
-

-
レナトゥスクリニック副田 周先生
SNS:X(旧twitter)、Instagram、Tiktok、Youtube、Facebook、Pinterest、Linkedin