当日処置可能
ゴルゴラインヒアルロン酸症例写真|レナトゥスクリニック 新宿で一番上手い
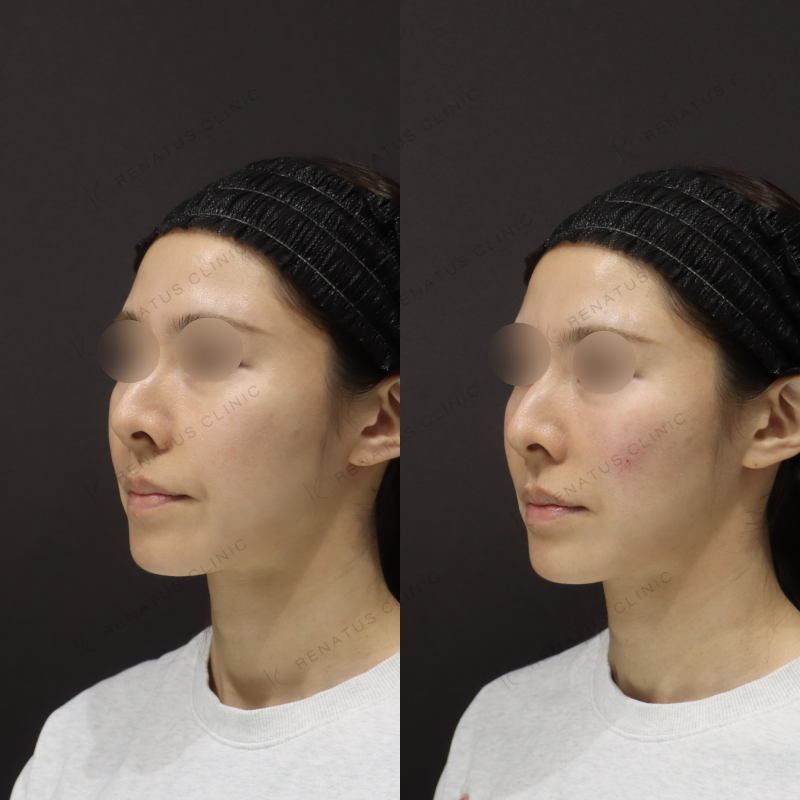
- 年代:30代
- 性別:女性
ジュビダームボルベラ/
ボリフト/
ボリューマ1ヶ所 通常価格¥90,200/
ボライト1ヶ所¥66,000/
ボラックス1ヶ所¥96,800/
レナトゥスヒアルロン酸1ヶ所¥90,200/
韓国製1ヶ所¥22,000
製剤料
¥11,000〜48,400
※モニター韓国製部位限定初回¥11,000 / ボライト¥33,000 / ボラックス¥48,400 / その他ジュビダーム等¥45,100 / ブロック麻酔¥4,400 / マイクロカニューレ¥4,400 /
▼詳細は必ずクリニックに直接確認してください▼
担当医師メッセージDOCTOR MESSAGE
アンチエイジング効果の期待できる、良い治療です。
ゴルゴラインヒアルロン酸注入がおすすめな方GOLGO LINE FILLER RECOMMEND
以下のようなお悩みを持つ方におすすめです。目的に合わせてゴルゴラインを改善することができます。
ゴルゴラインヒアルロン酸とはGOLGO LINE FILLER
ヒアルロン酸(ボリューマ)をゴルゴラインに注入し、気になるラインを目立たなくする施術です。ゴルゴラインヒアルロン酸の詳細は以下の通りです。
- 製剤種類 ボリューマ
- 目安cc数 1~2cc
- ダウンタイム ほぼなし〜2週間
- 所要時間 5分~30分
- メイク 施術直後より可能
- 価格 製剤料1ヶ所45,100円ブロック麻酔¥4,400マイクロカニューレ¥4,400
ヒアルロン酸注入は公的医療保険が適用されない自由診療です。
おすすめ症例RECOMMEND CASE
ヒアルロン酸注射をお探しの方におすすめの症例をご紹介します。
カスタマイズヒアルロン酸
鼻ヒアルロン酸
額ヒアルロン酸
唇ヒアルロン酸
顎ヒアルロン酸
ほうれい線ヒアルロン酸
涙袋ヒアルロン酸
施術詳細DETAIL
| 施術名:ヒアルロン酸注入 | |
| 施術内容 | 使用薬剤 : ジュビダームシリーズもしくは韓国製 持続期間 : 数ヶ月 / 9ヶ月 / 12ヶ月 / 18ヶ月 / 18ヶ月以上 / 24ヶ月 ヒアルロン酸を気になる部位に注入し、隆起させることで、形を整えたりシワや凹みを改善する治療です。 額(おでこ) / こめかみ / 眉間 / 眉上 / 目の上 / 涙袋 / 眼窩縁(目の下) / ゴルゴライン / 鼻 / 鼻翼基部 / ほうれい線 / 頬 / 唇 / 口角 / 顎 / 首 / ヒアルロン酸リフトアップ / 手の甲 / 膝 / 胸 / 立ち耳 / 鎖骨 / その他部位の改善をすることができます。 |
| お問い合わせ先 | 公式ライン |
リスク・副作用RISKS/SIDE EFFECTS
眩暈 / 霧視 / 興奮 / 不安 / 眠気 / 悪性高熱 / 痙攣 / 振戦 / 意識障害 / ショック / 血管攣縮 / 失神 / 瘢痕 / 筋無力症 / 悪心/嘔吐/不快感 / 頭痛 / インフルエンザ様症状 / 呼吸困難 / 乾燥肌 / しわ/瘢痕の深化 / 自己免疫疾患による反応 / 掻痒 / 変色/着色 / 血管性浮腫 / 膿瘍 / 骨吸収 / 皮膚壊死・皮膚炎・静脈炎 / 脳卒中(脳虚血、脳出血、脳梗塞) / 失明(視力障害含む) / ヘルペス悪化 / 無感覚/感覚異常 / ケロイド/肥厚性瘢痕 / しこり/硬結(小結節、数珠状小隆起、肉芽腫) / チンダル現象 / 左右非対称 / ヒアルロン酸の移動 / 修正位置のずれ / 修正不足/減少 / 血流障害 / 炎症反応 / アレルギー / 感染 / 腫脹/浮腫 / 発赤/発疹 / 疼痛 / 内出血
通常価格についてABOUT NORMAL PRICE
ヒアルロン酸注入は公的医療保険が適用されない自由診療です。
サイトの表示価格は、登録クリニックがHYHYで施術を紹介するために設定した通常必要とされる製剤費用(税込)で表示しております。
通常必要とされる価格=製剤料(cc数やヶ所数で変化)+施術料+初診料(再診料)+麻酔料+針代の計算式で算出してください。
※クリニックによっては、消費税の計算上、表示価格に記載されている価格に1円の差異が生じる場合がございます。
※HYHYで選択項目のない料金が発生する可能性があります。必ず事前にクリニックにご確認ください。
-

-
レナトゥスクリニック副田 周先生
SNS:X(旧twitter)、Instagram、Tiktok、Youtube、Facebook、Pinterest、Linkedin